Een 20-jarige man met een luxatie van de grote teen

Gepubliceerd:

148 deelnemers

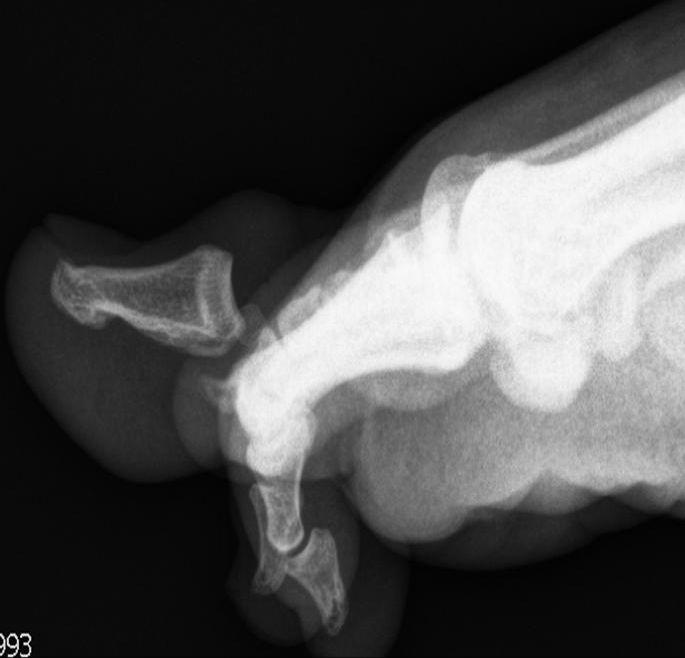
Een 20-jarige student kwam na een trauma naar de Spoedeisende Hulp met een pijnlijke, gezwollen grote teen links met hyperextensie in het interfalangeale gewricht. Gesloten repositie was niet mogelijk. Waarom niet? De laterale röntgenfoto toont de oorzaak.

Wat is uw diagnose?
Antwoord